BẢN TIN DỰ BÁO, CẢNH BÁO HẢI VĂN THỜI HẠN ĐẾN 10 NGÀY (Từ ngày 30 tháng 09 đến 09 tháng 10 năm 2025) TP. Đà Nẵng HV hạn vừa BẢN TIN DỰ BÁO, CẢNH BÁO HẢI VĂN THỜI HẠN ĐẾN 10 NGÀY (Từ ngày 30 tháng 09 đến 09 tháng 10 năm 2025) dubao 30/09/2025 Đọc thêm Read more about BẢN TIN DỰ BÁO, CẢNH BÁO HẢI VĂN THỜI HẠN ĐẾN 10 NGÀY (Từ ngày 30 tháng 09 đến 09 tháng 10 năm 2025)
TIN CẢNH BÁO DÔNG, LỐC, SÉT, MƯA ĐÁ VÀ MƯA LỚN CỤC BỘ TRÊN KHU VỰC TỈNH ĐẮK LẮK Tỉnh Đăk Lăk Thời tiết nguy hiểm KHÍ TƯỢNG TIN CẢNH BÁO DÔNG, LỐC, SÉT, MƯA ĐÁ VÀ MƯA LỚN CỤC BỘ TRÊN KHU VỰC TỈNH ĐẮK LẮK KTTV Đăk Lăk 30/09/2025 Đọc thêm Read more about TIN CẢNH BÁO DÔNG, LỐC, SÉT, MƯA ĐÁ VÀ MƯA LỚN CỤC BỘ TRÊN KHU VỰC TỈNH ĐẮK LẮK
TIN CUỐI CÙNG VỀ ĐỢT MƯA LỚN TẠI THÀNH PHỐ ĐÀ NẴNG-21h ngày 28/9/2025 TP. Đà Nẵng Thời tiết nguy hiểm Tiêu điểm TIN CUỐI CÙNG VỀ ĐỢT MƯA LỚN TẠI THÀNH PHỐ ĐÀ NẴNG-21h ngày 28/9/2025 dubao 28/09/2025 DNAN_MLDR_20250928_2100 Đọc thêm Read more about TIN CUỐI CÙNG VỀ ĐỢT MƯA LỚN TẠI THÀNH PHỐ ĐÀ NẴNG-21h ngày 28/9/2025
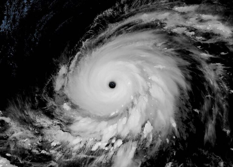
TIN BÃO TRÊN ĐẤT LIỀN (Cơn bão số 10) – 05h00 ngày 29/9/2025 TP. Đà Nẵng Thời tiết nguy hiểm Tiêu điểm TIN BÃO TRÊN ĐẤT LIỀN (Cơn bão số 10) – 05h00 ngày 29/9/2025 dubao 28/09/2025 DNAN_XTND_20250929_0500 Đọc thêm Read more about TIN BÃO TRÊN ĐẤT LIỀN (Cơn bão số 10) – 05h00 ngày 29/9/2025
TIN BÃO KHẨN CẤP (Cơn bão số 10) – 17h00 Ngày 28/9/2025 TP. Đà Nẵng Thời tiết nguy hiểm Tiêu điểm KHÍ TƯỢNG TIN BÃO KHẨN CẤP (Cơn bão số 10) – 17h00 Ngày 28/9/2025 dubao 28/09/2025 Đọc thêm Read more about TIN BÃO KHẨN CẤP (Cơn bão số 10) – 17h00 Ngày 28/9/2025
Bản tin hải văn nguy hiểm thành phố Đà Nẵng TP. Đà Nẵng HV nguy hiểm Bản tin hải văn nguy hiểm thành phố Đà Nẵng dubao 28/09/2025 Đọc thêm Read more about Bản tin hải văn nguy hiểm thành phố Đà Nẵng
Bản tin dự báo, cảnh báo hải văn thời hạn 10 ngày thành phố Đà Nẵng TP. Đà Nẵng HV hạn vừa Bản tin dự báo, cảnh báo hải văn thời hạn 10 ngày thành phố Đà Nẵng dubao 28/09/2025 Đọc thêm Read more about Bản tin dự báo, cảnh báo hải văn thời hạn 10 ngày thành phố Đà Nẵng
🌤️ DỰ BÁO THỜI TIẾT THÀNH PHỐ ĐÀ NẴNG 🌤️ (Đêm 28 và ngày 29 tháng 9 năm 2025) TP. Đà Nẵng Bản tin 24h KHÍ TƯỢNG 🌤️ DỰ BÁO THỜI TIẾT THÀNH PHỐ ĐÀ NẴNG 🌤️ (Đêm 28 và ngày 29 tháng 9 năm 2025) dubao 28/09/2025 🌤️ DỰ BÁO THỜI TIẾT THÀNH PHỐ ĐÀ NẴNG 🌤️ (Đêm 28 và ngày 29 tháng 9... Đọc thêm Read more about 🌤️ DỰ BÁO THỜI TIẾT THÀNH PHỐ ĐÀ NẴNG 🌤️ (Đêm 28 và ngày 29 tháng 9 năm 2025)
TIN DỰ BÁO MƯA LỚN TẠI THÀNH PHỐ ĐÀ NẴNG-15h30 ngày 28/9 TP. Đà Nẵng Thời tiết nguy hiểm Tiêu điểm TIN DỰ BÁO MƯA LỚN TẠI THÀNH PHỐ ĐÀ NẴNG-15h30 ngày 28/9 dubao 28/09/2025 DNAN_MLDR_20250928_1530 Đọc thêm Read more about TIN DỰ BÁO MƯA LỚN TẠI THÀNH PHỐ ĐÀ NẴNG-15h30 ngày 28/9
TIN BÃO KHẨN CẤP – Cơn bão số 10 Thời tiết nguy hiểm Tiêu điểm KHÍ TƯỢNG TIN BÃO KHẨN CẤP – Cơn bão số 10 dubao 28/09/2025 ⚠️ TIN BÃO KHẨN CẤP – Cơn bão số 10 Tin phát lúc 08h0 ngày 28/9/2025 🌀... Đọc thêm Read more about TIN BÃO KHẨN CẤP – Cơn bão số 10